У Тернополі вночі 5 жовтня перекриють рух транспорту на Пирогова
Рішення прийняв виконком.
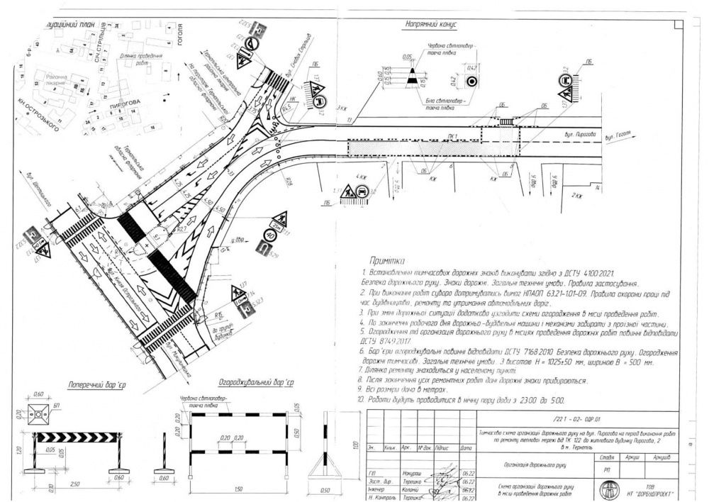
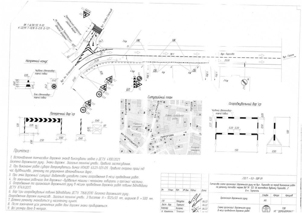
Для капітального ремонту ділянки теплової мережі КП «Тернопільміськтеплокомуненерго», на черговому засіданні виконавчого комітету прийняли рішення про перекриття руху транспорту на вул. Миколи Пирогова з 23:00 год. 05 жовтня до 05:00 год. 06 жовтня.
Про це повідомляє Тернопільська міська рада.
Проводитимуть роботи на ділянці вул. Миколи Пирогова від теплової камери №122 за адресою вул. Січових Стрільців, 13 до теплової камери №124 — вул. Миколи Пирогова, 2.
У міській раді додали схему організації дорожнього руху, де будуть проводитися ремонтні роботи.


Нагадаємо,раніше ми писали, що у різних мікрорайонах Тернополя тривають локальні поточні ремонти дорожнього покриття.
Читайте також
- Ремонт доріг у Тернополі триває: де та що вже зробили (АДРЕСИ)
- Поблизу Великих Бірок відремонтували аварійні міст і шляхопровід
Стежте за новинами Тернополя у Telegram.