Увага! Галицька перекрита до 19 вересня. Схема об'їзду
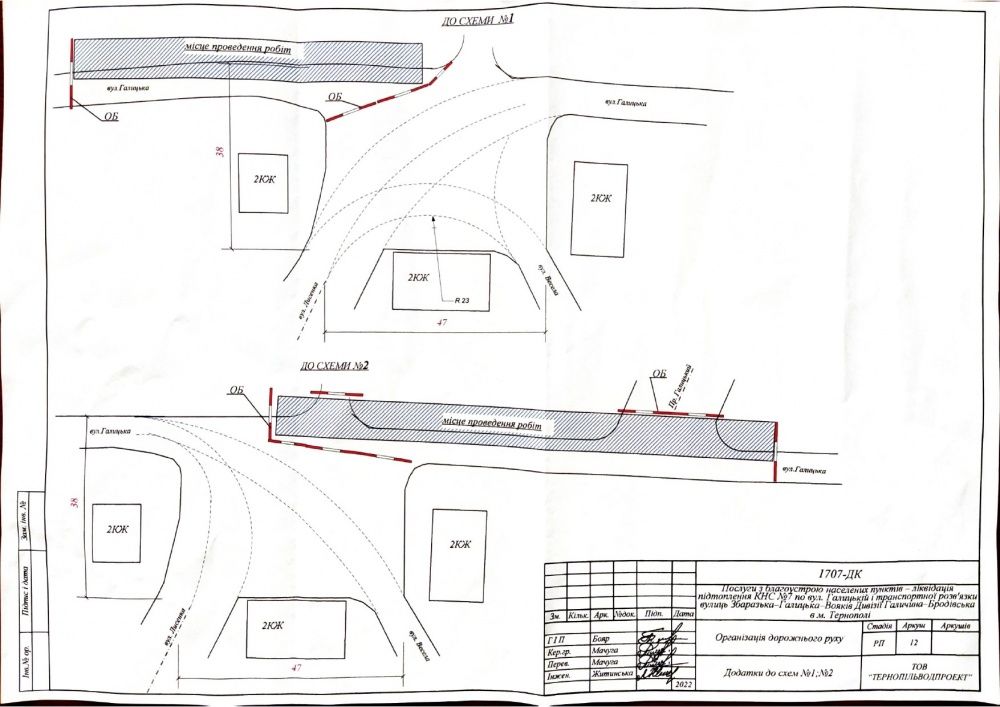
З 8 серпня до 19 вересня на вул. Галицькій (від перехрестя вулиць Миколи Лисенка-Галицька до перехрестя вулиць Галицька-Збаразька) буде перекрито рух транспорту
На місці проведення ремонтних робіт будуть встановлені дорожні знаки відповідно до схеми організації дорожнього руху, повідомляють у Тернопільській міській раді.
Тимчасова схема організації дорожнього руху на вул. Галицькій на даний період


У міській раді звертаються до водіїв з проханням бути уважними і завчасно обирати маршрути руху.
- Нагадаємо, під час воєнного стану в Україні, відповідно до урядових постанов, заборонено проводити капітальні ремонти чи будівництва за рахунок місцевих, обласних чи державних бюджетів. Тому у місті лише ремонтують дорожнє покриття.
Читайте також: Ремонт доріг у Тернополі триває: де та що вже зробили (АДРЕСИ)
У Тернополі оновили в’їзний знак у місто зі сторони вулиці Бережанської (ФОТО)
Стежте за новинами Тернополя у Telegram.