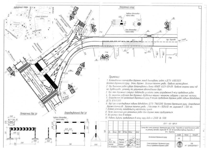
Вночі 5 жовтня перекриють рух транспорту на вулиці Пирогова. Схема об'їзду
Виконавчий комітет прийняв рішення про перекриття руху транспорту на вул. Миколи Пирогова з 23:00 год. 05 жовтня до 05:00 год. 06 жовтня.
Перекриття дороги проводять через капітальний ремонт ділянки теплової мережі КП «Тернопільміськтеплокомуненерго», повідомляють у ЖКГ Тернопіль.
Роботи проводитимуть на ділянці вул. Миколи Пирогова від теплової камери за адресою вул. Січових Стрільців, 13 до теплової камери – вул. Миколи Пирогова, 2.
Схема організації дорожнього руху, де будуть проводитися ремонтні роботи


Нагадаємо, під час воєнного стану в Україні, відповідно до урядових постанов, заборонено проводити капітальні ремонти чи будівництва за рахунок місцевих, обласних чи державних бюджетів. Тому у місті лише ремонтують дорожнє покриття.
Читайте також: Поблизу Великих Бірок відремонтували аварійні міст і шляхопровід
Які зміни в організації дорожнього руху на перехресті вулиць Івана Мазепи — Дружби — Чумацької
Стежте за новинами Тернополя у Telegram.